| RODZAJ | Róża |
| GATUNEK | sina |
| RODZINA | Różowate (Rosaceae) |
| NAZWA ŁACIŃSKA | Rosa dumalis |
| WYSTĘPOWANIE | Występuje pospolicie na obszarach umiarkowanych i ciepłych półkuli północnej. Występują prawie w całej Europie, także na terenie Polski jest dość pospolita. |
| STATUS | Gatunek rodzimy |
| POKRÓJ | Gęsty krzew o wysokości do 2 m.
|
| KORA, PĘDY | Gałązki nieco sinonabiegłe z silnie hakowato zagiętymi kolcami.
 |
| LIŚCIE | Złożone z 5-7 jajowato-eliptycznych listków. Listki są duże, szerokojajowate (czasami prawie okrągłe), nieco sino nabiegłe, krótko zaostrzone, o brzegach głęboko pojedynczo lub podwójnie ząbkowanych, przy czym ząbki są długie, wąskie i zwrócone nieco do przodu. Spodnia strona listków bez gruczołów.
 |
| KOLOR KWIATÓW | różowy
 |
| ILOŚĆ PŁATKÓW | 5
|
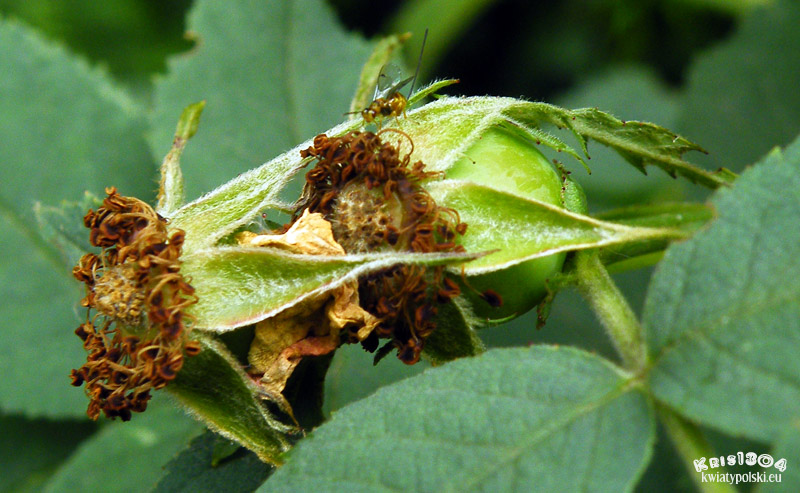
| OWOCE | Duży, czerwony tzw. owoc pozorny.
|
| OPIS | Kwiaty wyrastają na szypułkach znacznie krótszych od podsadek, są pięciopłatkowe, pojedyncze, różowe. Szyjki słupków główkowate, duże i wełnisto owłosione. Działki kielicha sa silnie pierzastosieczne, po przekwitnieniu odginają się w dół i wcześnie odpadają.
 |
| SIEDLISKO | Miedze, przydroża, skraje lasów, zarośla. |
| WYSOKOŚĆ | do 2 m. |
| OKRES KWITNIENIA | Czerwiec. |